



受台风“桦加沙”影响,目前福州沿海地区已经出现8级~9级强阵风。

22日09时39分,福州市气象台将台风蓝色预警信号升级为台风黄色预警信号。

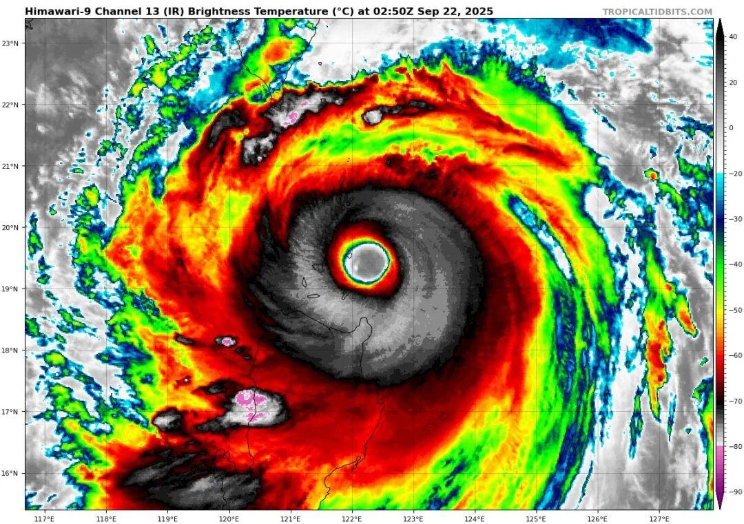
@中央气象台最新消息:台风“桦加沙”强度已经达到17级以上,眼区大且清晰。

“桦加沙”属于头脑不简单,四肢又发达的台风。

个头大,7级风圈在340公里~480公里,7级风圈能达到400公里以上的台风比较少见。
强度强。今年以来西北太平洋最强台风毋庸置疑。它未来登陆强度最低也会是强台风级(14级~16级)。而上一次正面袭击珠三角的2018年台风“山竹”登陆强度也是强台风级(14级,45米/秒)。换句话说,如果“桦加沙”未来在珠江口一带登陆,强度下限就是“山竹”。

路径狡猾。以往在菲律宾以东洋面生成的台风,在向西北方向移动时,多多少少会受到吕宋岛的影响,强度有所削弱。但“桦加沙”将从巴士海峡穿过,核心大风区受到影响较小,将强势侵入南海。
登陆地点扑朔迷离。老生常谈的问题,由于西进台风的路线和广东海岸线夹角太小,细微的差别都有可能导致登陆地点不同。另外北方也有冷空气南下,冷空气抵达华南的早晚也会影响登陆地点和登陆时的强度。

福建未来天气情况
据福建气象消息,受到超强台风“桦加沙”的影响,未来一周多雷雨,局部地区还会有大雨到大暴雨。
9月22日,全省多云到阴,中北部沿海地区有阵雨或雷阵雨,局部大雨到暴雨,其余地区有分散性阵雨或雷阵雨。
9月23日,全省阴有阵雨或雷阵雨,沿海地区部分有大雨到暴雨,局部大暴雨,其余地区局部有大雨到暴雨。

总之,“桦加沙”绝对不是个简单角色,请市民朋友千万不能掉以轻心,注意防范!
(来源:@中央气象台、@福州气象)
①凡本网注明“来源:福州新闻网”的所有文字、图片和视频,版权均属福州新闻网所有,任何媒体、网站或个人未经本网协议授权不得转载、链接、转贴或以其他方式复制发表。已经被本网协议授权的媒体、网站,在下载使用时必须注明“来源:福州新闻网”,违者本网将依法追究责任。
②本网未注明“来源:福州新闻网”的文/图等稿件均为转载稿,本网转载出于传递更多信息之目的,并不意味着赞同其观点或证实其内容的真实性。如其他媒体、网站或个人从本网下载使用,必须保留本网注明的“来源”,并自负版权等法律责任。如擅自篡改为“来源:福州新闻网”,本网将依法追究责任。如对文章内容有疑议,请及时与我们联系。
③ 如本网转载涉及版权等问题,请作者在两周内速来电或来函与福州新闻网联系。